ID CP2012781

Teren Lugoj

ID CP2012781

35,500 € (negociabil)

Teren de 570 mp de vânzare
Central, Lugoj
570 mp

De vanzare terenul Lugoj.

Va propunem spre vanzare un imobil compus dintr-o constructie de tip atelier/casa/spatiu de depozitare si terenul aferent acesteia. Este situat in centrul municipiului Lugoj pe str. Anișoara Odeanu.

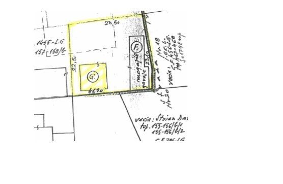
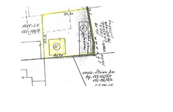
Terenul are o suprafață de 570 mp. Pe teren se afla o constructie pe structura din cadre de beton armat care poate fi reabilitata si utilizata, si o constructie la rosu care cel mai ar trebui demolata.

Accesul la teren se realizează de pe o alee comuna si se poate face atat pietonal, cat si cu autoturismul. Toate utilitatile sunt la poarta.

Locatia se preteaza pentru orice fel de investitie. Actele sunt pregatite de vanzare, libere de sarcini.

Aceasta proprietate este reprezentata si administrata in exclusivitate de catre CEImobiliare, NU se va percepe niciun comision din partea cumparatorului”

Citește mai mult

  • Tip teren
    Construcții
  • Suprafață teren
    570 mp
  • Clasificare
    Intravilan
  • Disponibilitate
    Imediat

Facilități

Acces auto
Apă
Canalizare
Construcție demolabilă
Curent
Gaz
Iluminat stradal
Mijloace de transport în comun
Oportunitate de investiții
Străzi asfaltate
Teren împrejmuit
Silviu Blajovan
Consultant Vanzari

0721660583


Solicită chiar acum o vizionare
Telefon
Sună acum Solicită vizionare
Necesare:

Site-ul nu poate funcționa corect fără aceste cookie-uri. Vezi cookie-urile

Statistică:

Strângem statistici anonime despre voi, vizitatorii unici, pentru a vă îmbunătăți experiența dumneavoastră. Vezi cookie-urile

Marketing:

Pentru a ne promova mai eficient serviciile noastre, folosim cookies pentru a vă identifica și a vă oferi proprietăți și servicii personalizate. Vezi cookie-urile

Acest site folosește cookies, află detalii. Alege ce tipuri de cookies dorești să permitem: